关于张家口·怀来大数据产业基地科技创新园区电力隧道及高压变电站工程1#110kv变电站工程建设工程规划设计方案(1#110KV变电站工程)、张家口·怀来大数据产业基地科技创新园区1#110kv变电站附属用房(机房)工程项目建设工程设计方案修改的批前公示
体裁分类:国土空间规划 发布时间:2025-09-30 发布机构:自然资源局 字号:[大 中 小]
怀来县国土空间规划委员会办公室
关于张家口·怀来大数据产业基地科技创新园区电力隧道及高压变电站工程1#110kv变电站工程建设工程规划设计方案(1#110KV变电站工程)、张家口·怀来大数据产业基地科技创新园区1#110kv变电站附属用房(机房)工程项目建设工程设计方案修改的批前公示
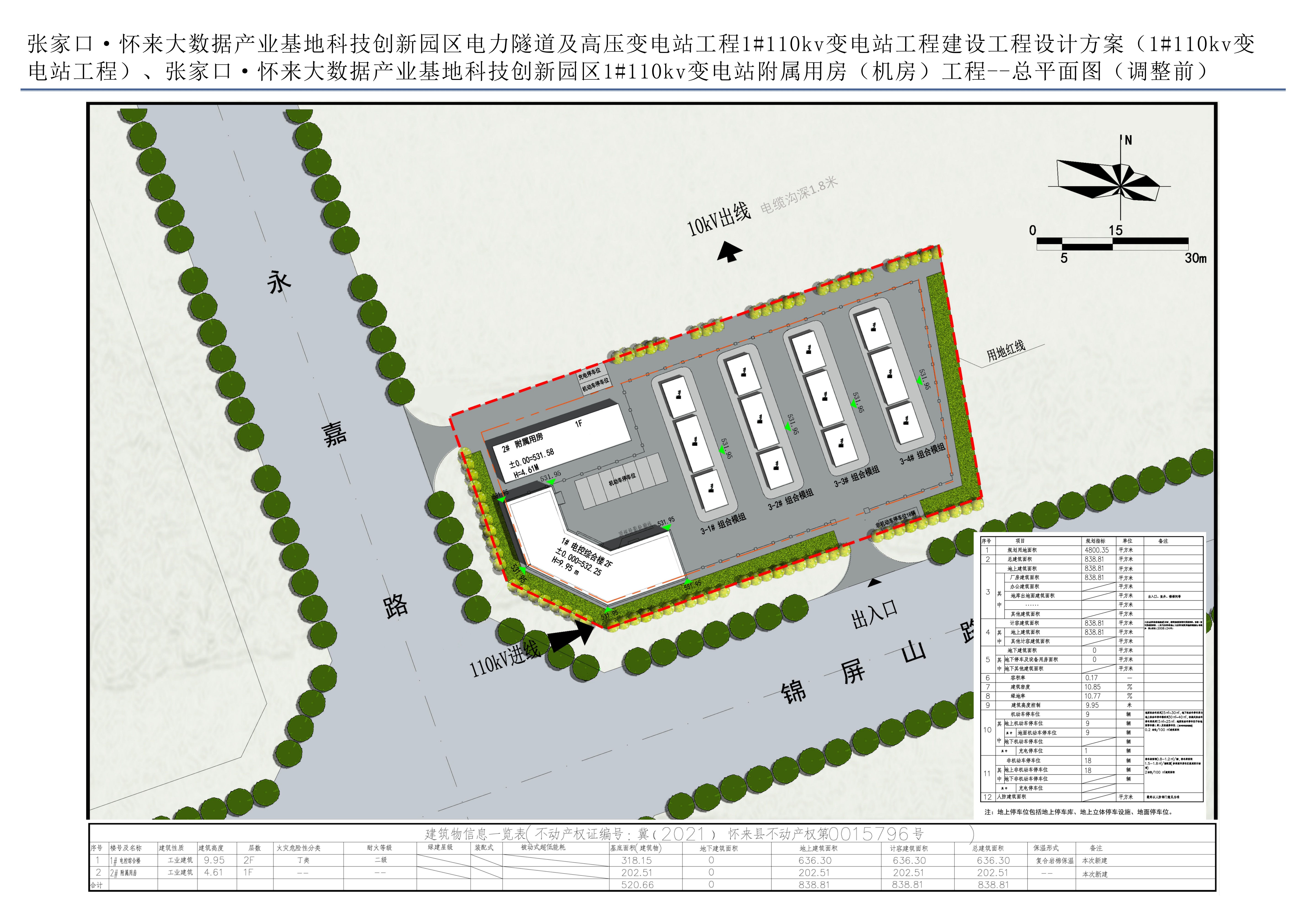
张家口·怀来大数据产业基地科技创新园区电力隧道及高压变电站工程1#110kv变电站工程建设工程规划设计方案(1#110KV变电站工程)、张家口·怀来大数据产业基地科技创新园区1#110kv变电站附属用房(机房)工程项目位于怀来县东花园镇焦家庄村,由怀来县数据局建设,项目原规划方案于2022年6月批复。
现将该项目“设计方案”进行批前公示。
一、公示时间:2025年9月30日至2025年10月10日,共11天。
二、规划方案内容:
各项技术经济指标符合规划条件要求。(具体指标详见附图)
三、批前公示旨在征询公众意见,利害关系人对以上规划方案如有不同意见或建议应于公示期间内向我局提出,个人提交反馈意见应签署真实姓名、住址和联系方式。公众意见将作为审批决策的重要参考依据,公示规划方案并非最终审批结果。
(一)公示内容及图纸详情咨询怀来县自然资源和规划局(怀来县国土空间规划委员会办公室),联系电话:0313-6801828。
(二)信笺寄至“怀来县自然资源和规划局(怀来县国土空间规划委员会办公室)”请注明“规划批前公示”字样,邮政编码:075400。
(三)附:调整前后总平面图、调整前后鸟瞰图。
2025年9月30日





中国政府网
冀公网安备:13073002000032